BELEDİYE CEVAPLADI!
Ereğli Belediyesi, kamuoyunu yanıltıcı içerikte sosyal medya paylaşımlarını bir açıklamayla cevapladı. Açıklamada, Ereğli Belediyesi'nin Kışla Sanayi sitesinde herhangi bir hissesi bulunmadığı belirtildi.
Ereğli Belediyesi'nden yapılan açıklamada Kdz.Ereğli Belediyesi çalışanları ve Başkan Hüseyin Uysal hakkında, son günlerde bazı basın yayın kuruluşları ve sosyal medya ortamında 'iddia' adı altında yer alan 'suç isnatlarına' karşı, halkımızın doğru bilgilendirilmesi adına bu açıklamanın yapılmasının gerekli olduğu belirtildi.
Açıklamada şu ifadeler yer aldı:
"Söz konusu haber ve yorumlarda, Kdz.Ereğli Belediye Başkanımız Hüseyin Uysal'ın, verilen bir dilekçeye yazılı yanıtı ile Kışla Sanayi Sitesinde başka bir yere ait olan 3 ayrı parselin tapu kayıt örnekleri 'belge' olarak sunulmuş, böylece 'iddia' adı altında, kamuoyunu yanıltıcı, tamamen maksatlı, yalan haberlerle algı oluşturulmaya çalışılmıştır.
Mesut Seydel isimli vatandaşın 07.12.2015 tarih, D-616 sayılı dilekçesine verilen yanıtta da görüleceği üzere;
Kdz.Ereğli Belediyesinin Kışla Sanayi Sitesi Kooperatifi dükkanlarında her hangi bir hissesi bulunmamaktadır.
'İşte Belediyenin hissesi' diyerek haber ve yorumlarda gösterilen tapu kayıt örnekleri de, Belediyenin başka bir yerde bulunan tapu kayıt örnekleridir.
a)Küçük Sanayi Sitesi Kooperatifi dükkanlarında yer aldığı iddia edilen Ada/Parsel 980/1 tapu kaydı, Belediyemizin imar planında Kışla Mahallesi sanayi sitesi bitişiğinde imar yolunda kalmaktadır.
b) Küçük Sanayi Sitesi Kooperatifi dükkanlarında yer aldığı iddia edilen Ada/Parsel 981/1 tapu kaydı, kamyon garajı arkasındaki halen belediyemizce kira bedeli alınan belediye dükkanları içinde kalmaktadır.
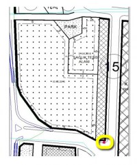
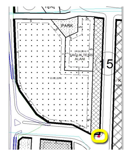
c) Küçük Sanayi Sitesi Kooperatifi dükkanlarında yer aldığı iddia edilen Ada/Parsel 982/1 tapu kaydı, imar planında eski kamyon garajı, yeni Belediye hizmet alanı ve sağlık tesisi alanında kalmakta olup, belediyemizce butik hastane yapılması için gösterilen sağlık tesisi alanında kalmaktadır.
EK'te görsellerine de yer verdiğimiz imar durumlarından da anlaşılacağı üzere, yukarıda yanıtları verilen haber ve yorumlar, son günlerde belli kişilerce belediye yönetimimizi yıpratma ve karalama amaçlı, kasıtlı yapılan haber ve yorumlardır.
'İddia' adı altında 'suç isnatlarına' cevap verilmedikçe, bazı basın yayın kuruluşları ile sosyal medya ortamında 'bak yazdıklarımıza cevap verilmedi, demek ki yazdıklarımız doğru' algısı oluşturmaya çalışan bu belli kişilerin gerçek amaçlarının 'haber vermek' olmadığının kamuoyu tarafından bilinmesi amacıyla, yanıt verilmiştir.
Ayrıca söz konusu haber ve yorumlar ile ilgili gerekli yasal müracaatlar yapılmış olup, benzeri durumlarda da tüm hukuki yollara başvurulacağının bilinmesini isteriz.
Kdz.Ereğli'nin ihtiyacı olan hizmetleri gerçekleştirmek için var gücüyle çalışan yönetimimizi, bu tür yayınlar 'Kdz.Ereğli'ye hizmet etme sevdasından' alıkoyamayacaktır.
Kamuoyuna saygı ile duyurulur. "
Haber : Değişim Haber Merkezi








































